Powered by the Centre for Invasive Species Solutions
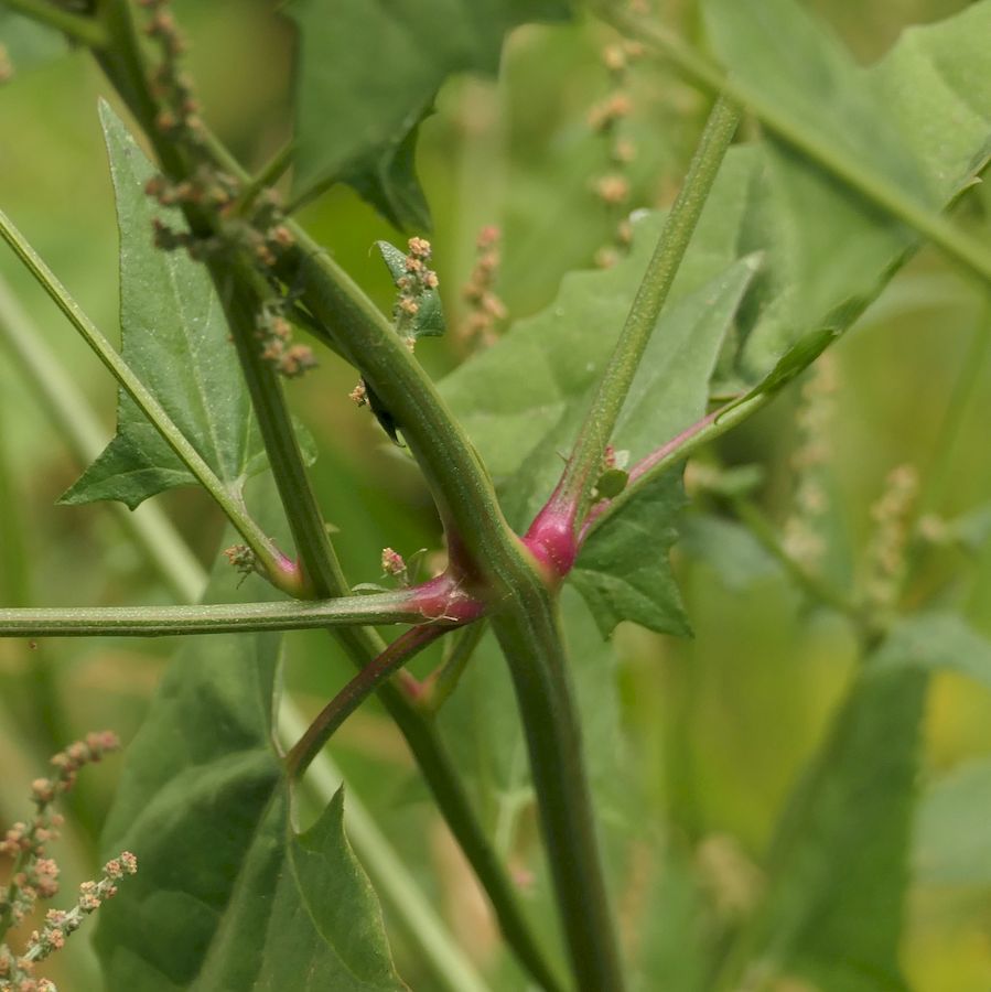
Family: Amaranthaceae Scientific name: Atriplex prostrata Description: Plant Form: Spreading to upright annual herb. Size: Up to 50 cm tall. Stem: Angular branching. Green or reddish. Leaves: Triangular to spear-like, up to 8 cm long and 6 cm wide, with slightly backwards pointing lobes when present. Edges smooth or slightly toothed. Flowers: Variable in densely arranged clusters which clump together. Green to purplish-red. Fruit and Seeds: Enclosed in bracts which are triangular or rhombus-shaped. Habitat: Saltmarshes, coastal scrub, dunes, riparian areas. Distinguishing Features: Highly variable species which can easily be mistaken for other Saltbushes (Atriplex species). Can be distinguished from Native orache (Atriplex australascia) by wider upper leaves up to 6 cm across. Weed Status: Other Weed Weed Type: Environmental Lifeform: Herbaceous